Immobili residenziali

Casorate Primo 
Capannone in locazione

Descrizione

Capannone in locazione
Via Marco Biagi
Casorate Primo

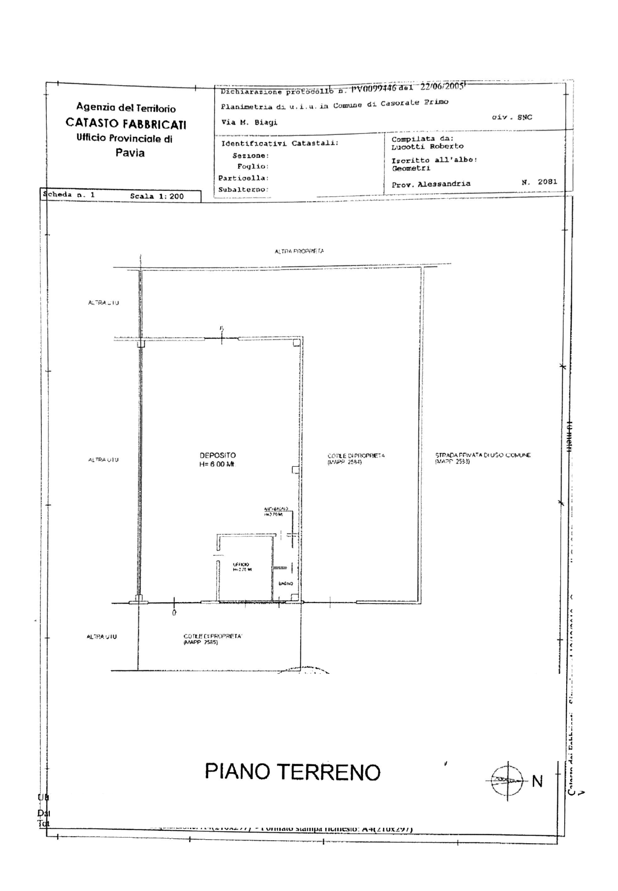
Capannone in Affitto – Casorate Primo (PV)
Proponiamo in locazione capannone di 170 mq con cortile privato di 250 (due aree), ideale per attività artigianali, deposito o piccole lavorazioni. La soluzione è composta da un locale di deposito (altezza 6 mt) un locale ufficio, antibagno e bagno.
Caratteristiche principali:
- Superficie interna: 170 mq open space
- Area esterna recintata: 250 mq, perfetta per parcheggio mezzi o movimentazione merci
- Accesso carraio comodo per furgoni e piccoli camion
- Buona accessibilità dalla viabilità principale
- Soluzione indipendente e facilmente personalizzabile

Posizione:
Situato a Casorate Primo, in zona tranquilla ma strategica, a breve distanza dai principali collegamenti verso Pavia e Milano.

📞 Per informazioni o per fissare una visita, contattaci!

Dettagli

Visite: 8
Contratto: locazione
Tipologia: capannone
Locali: 1
Bagni: 1
Posti auto: >4
Box: no
Riscaldamento: autonomo
Anno: 2005
Piano: terra di 1
Balcone: no
Terrazzo: no
Giardino: privato (250 m2)
Stato al rogito: libero
Spese condominiali mensili: 0 €
Classe energetica: G (585,89 kWh/m2/a)
Codice: AF-786
Superficie: 170 m2

Prezzo: 1.400 € Chiama ora Whatsapp